Makléř: Veselská Martina
Telefon: 420 777 ...
E-mail: martina ...
Zobrazit celý kontaktTelefon: 420 777 737 112
E-mail: martina.veselska@century21.cz
Nemovitost nabízí
CENTURY 21 Birdie Reality - pobočka NextRound
28. října 813/248, 709 00 Ostrava
www.century21.cz/kancelar-birdie-reality-pobocka-nextround
Zobrazit kontakt na RK
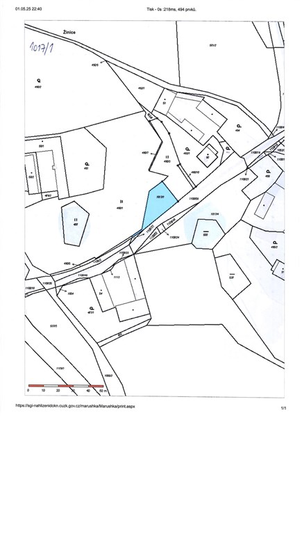
Prodej stavebního pozemku 1 146 m2 - Žinice, Jiřetice u Neustupova Nabízíme k prodeji atraktivní stavební pozemek o výměře 1 146 m2 v klidné obci Žinice, část obce Neustupov, v katastrálním území Jiřetice u Neustupova. Elektřina přivedena na pozemek Vlastní studna - zdroj vody přímo na pozemku Přístupová cesta - obecní komunikace Rovinatý a slunný pozemek s krásným výhledem do okolní krajiny 70% dotace od obce na vybudování ČOV Územní plán: BSV - plochy smíšené obytné - venkovské Pozemek je určen k výstavbě rodinného domu, rekreačního objektu či k kombinaci bydlení a drobného podnikání (řemesla, domácí dílna, služby apod.). Možná je i stavba drobných hospodářských objektů a chov domácích zvířat pro vlastní potřebu. Možnost záměru výstavby rybníku nebo vodní plochy je v souladu s platným ÚP Neustupov a z hlediska platného ÚP jej lze realizovat. Skvělá dostupnost a občanská vybavenost: Votice (12 km) - město s plnou občanskou vybaveností: základní a mateřské školy, supermarket Billa, Penny, Lidl, pošta, lékaři, lékárny, restaurace, vlakové a autobusové spojení do Prahy a Tábora. Benešov (28 km) - okresní město s rozšířenou nabídkou služeb, nemocnicí a přímým napojením na dálnici D1. Lokalita nabízí klidné venkovské prostředí s blízkostí přírody, ideální pro trvalé bydlení i rekreaci. Výborné spojení autem i veřejnou dopravou.
Prodej louky, 3305 m2, Vlkonice u Neveklova
Nabízíme k prodeji pozemky o celkové výměře 3305 m2 v katastrálním území Vlkonice u Neveklova, které se nachází v klidné části obce. Pozemek je…
Prodej souboru pozemků v Čechticích
Nabízíme k prodeji jedinečný soubor pozemků v malebném prostředí okolí Čechtic, katastrální území Čechtice, Čáslavsko, Kuňovice a Mnichovice. Tento…