Makléř: Mgr. Jaroslav Oborný
Telefon: 603 278 ...
E-mail: oborny@ ...
Zobrazit celý kontaktTelefon: 603 278 555
E-mail: oborny@jurisreal.cz
Nemovitost nabízí
JURIS REAL, spol. s r.o.
Šrobárova 2100/49, Praha 3
Zobrazit kontakt na RK
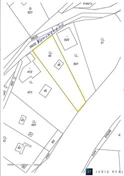
Svažitý stavební pozemek (proluka mezi stávajícími domy) o celkové ploše 773 m, s nádherným výhledem až na "Cukrák". Možnost stavby rodinného, nebo bytového domu o třech plnohodnotných patrech, z nichž každé z pater bude mít zastavěnou plochu cca 150 m. Veškeré inženýrské sítě (elektřina, voda, kanalizace, plyn) se nachází na hranici pozemku. Součástí pozemku parc. č. 48 (zastavěná plocha a nádvoří) je stávající chata o zastavěné ploše 27m, která může být využita jako zázemí budoucí stavby, samotný pozemek vedený v katastru nemovitostí jako zahrada pak má parc. č. 49. Tento pozemek se nachází v zadní části slepé ulice Komenského a je přístupný jak z této ulice, tak ze spodní části pozemku. Financování této nemovitosti je možné i Vaším bytem v Praze, nebo okolí, který vezmeme protiúčtem. Případné dotazy Vám rád sdělím telefonicky, nebo při osobní prohlídce nemovitosti. <a href="https://www.eurobydleni.cz/byty/3_kk/semily/obec-rokytnice-nad-jizerou/prodej/"><strong>Prodej bytu 3+kk Rokytnice nad Jizerou</strong></a>
Prodej, Pozemek pro stavbu RD, bytů, Černošice
Nabízíme k prodeji jedinečný stavební pozemek o výměře 1089 m2 v jedné z nejvyhledávanějších rezidenčních oblastí - Černošice. Tato nabídka…
Prodej stavebního pozemku 2142m2, Praha Černošice
Nabízíme k prodeji soubor pozemků o celkové výměře 2142m2 v obci Černošice u Prahy. Aktuálně zde stojí dřevěná chata, pozemek je mírně svažitý,…
Prodej stavebního pozemku Černošice na Eurobydleni.cz