Makléř: Milan Škoda
Telefon: 777 211 ...
E-mail: milan.s ...
Zobrazit celý kontaktTelefon: 777 211 671
E-mail: milan.skoda@qara.cz
Nemovitost nabízí
QARA s.r.o.
Šafaříkova 201/17, 120 00 Praha 2
Zobrazit kontakt na RK
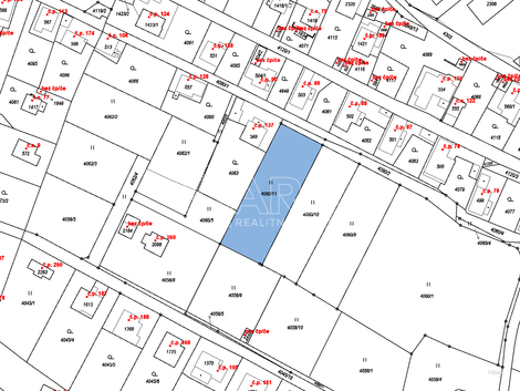
Hledáte místo pro moderní bydlení, kde už byla ta nejtěžší práce odvedena? Nabízíme k prodeji slunný stavební pozemek o rozloze 1 201 m2 v klidné části Chrástu nad Sázavou. Na pozemku se nachází rozestavěná stavba moderního rodinného domu s platným stavebním povolením a kompletní projektovou dokumentací. Stav rozestavěnosti Nemusíte čekat na úřady ani bagry. Na místě je již hotovo: Zemní práce a terénní úpravy. Kompletní základová deska včetně prostupů pro inženýrské sítě. Částečná hrubá stavba suterénu (1. PP) - připraveno k pokračování výstavby. Dispozice a popis budoucího domu Projekt počítá s velkorysým, technologicky vyspělým domem rozděleným do dvou podlaží o celkové užitné ploše cca 236 m2. Suterén (1. PP - 128,84 m2): Klidová a relaxační zóna. Dominantou je prostorný obývací pokoj (33 m2) s krbem a vstupem na terasu, ložnice, pokoj/tělocvična, koupelna a luxusní zázemí se saunou a ochlazovnou. Přízemí (1. NP - 107,91 m2): Vstupní podlaží s velkou dvougaráží (42,5 m2), pracovnou (letním bytem), čajovým pokojem a další koupelnou. Exteriér: Moderní architektura s plochou zelenou střechou, dřevěnými okny v antracitovém odstínu a kombinací pískové a šedé omítky. Lokalita a občanská vybavenost Týnec nad Sázavou je vyhledávanou lokalitou pro svou perfektní rovnováhu mezi přírodou a městským komfortem: Dopravní dostupnost: Výborné spojení do Prahy (vlak, BUS, auto cca 35 min). Vybavenost: V místě jsou mateřské i základní školy, poliklinika, pošta, supermarkety a široká síť služeb. Volný čas: Jen pár kroků od řeky Sázavy a okolních lesů - ideální pro cyklistiku, turistiku či vodáctví. Inženýrské sítě: Na pozemek je přivedena elektřina, splašková kanalizace a vodovod. Projekt řeší i hospodaření s dešťovou vodou pomocí akumulační nádrž Tento pozemek je ideální pro někoho, kdo chce stavět ihned a bez administrativních průtahů.
Prodej pozemku pro výstavbu o rozloze 813 m - Týnec nad Sázavou - Podělusy
Nabízíme Vám jedinečnou možnost koupě stavebního pozemku v klidné, krásné lokalitě Týnec nad Sázavou / Podělusy. Plocha pozemku činí 813 m s…
Prodej pozemku pro výstavbu o rozloze 813 m - Týnec nad Sázavou - Podělusy
Nabízíme Vám jedinečnou možnost koupě stavebního pozemku v klidné, krásné lokalitě Týnec nad Sázavou / Podělusy. Plocha pozemku činí 813 m s…